Voir le bien

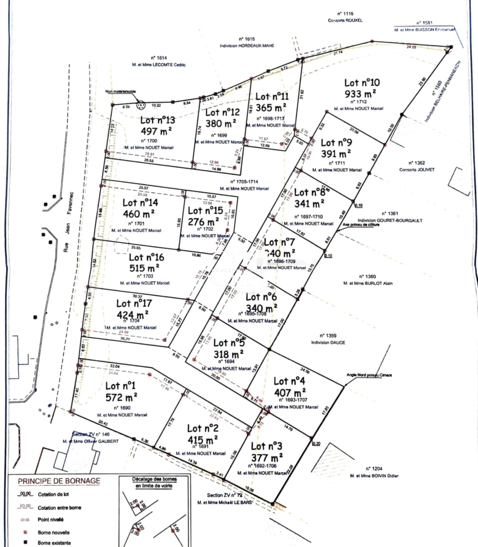
Plouha
(22580)
373 m²
Terrain à vendre sur la commune de PLOUHA
49 900 €
Ref : 9
Nouveauté
Voir le bien